Eins vorneweg: Wir sind bereits wieder gut in Deutschland gelandet und konnten auch schon wieder ein erstes Brot genießen 🙂
Obwohl ich mit dem Schreiben immer etwas „hinterherhänge“, möchten wir natürlich auch unsere Erlebnisse der letzten beiden Stationen mit euch teilen und wünschen natürlich trotzdem viel Spaß beim Lesen. Bei diesem Beitrag können wir euch vor allem das Highlight-Video vom Tauchen weiter unten besonders ans Herz legen.
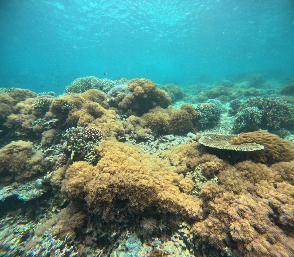
Als letzten Stopp in Malaysia haben wir uns etwas ganz Besonderes gegönnt. Wir haben lang hin und her überlegt, ob wir es machen sollten, da die 4 Tage auch sehr preisintensiv sind, obwohl wir die preiswerte Option gewählt haben, da wir in einem 6-Personen-Zimmer schlafen. Trotzdem standen ganze 800 Euro pro Person zu Buche. Mit diesem Budget hätten wir auch fast einen weiteren Monat reisen können. Letztendlich ist es für uns aber eine einmalige Gelegenheit den Nr. 1 Tauchspot in Malaysia zu besuchen und somit haben wir uns dafür entschieden. Die Rede ist von der Insel Sipadan. Die kleine Insel wird auch in weltweiten Rankings immer wieder unter den Top 10 geführt. Im Nachhinein hat es sich aber mehr als gelohnt. Alina und ich haben noch nie eine so schöne und vielseitige Unterwasserwelt gesehen und sind dementsprechend froh, dass wir uns dafür entschieden haben.


Doch was macht Sipadan zu einem so besonderen Tauch-Spot? Zum einen der Fakt, dass die Insel Sipadan selbst seit fast 20 Jahren zum Erhalt besonders geschützt ist. Es gibt keine Hotels direkt auf der Insel und deswegen muss man immer ein gutes Stück vom Festland oder wie wir von einer naheliegenden Insel anreisen. Zudem vergibt die Regierung täglich nur 120 kostenpflichtige Lizenzen für Taucher und Schnorch`ler gemeinsam. Damit wird sichergestellt, dass nur eine geringe Anzahl von Booten um die Insel aktiv sind.
Wir selbst haben auf der Nachbarinsel Mabul geschlafen und ein 4 Tages-Paket gebucht. Davon haben wir zwei Tage Tauchen an der Insel Sipadan und 2 weitere Tage Tauchen an den Inseln Mabul und Kapalai. Auch wenn Mabul und Kapalai nicht an die Schönheit von Sipadan herankommen, sind es trotzdem wunderschöne Tauchspots. Den mehrtägigen „Ausflug“ haben wir mit bei den „Scuba-Junkies“ gebucht und es auch nicht bereut. Es war alles sehr gut strukturiert und organisiert. Neben den Übernachtungen und den Tauchgängen mit Equipment waren natürlich auch die Transporte und Verpflegung mit inbegriffen. Ein Rundum-Sorglos-Paket also und wir konnten den Fokus auf die wunderschöne Unterwasserwelt dort legen.













Täglich standen 3 Tauchgänge auf dem Programm, die jeweils zwischen 50 und 60 Minuten lang waren. Je nachdem, wie lang die Luft gereicht hat. 😉 Das bedeutet 12 Tauchgänge in 4 Tagen, das ist eine ganze Menge. Man könnte nun denken, beim Tauchen schwebt man nur und es ist dementsprechend auch nicht anstrengend. Aber genau das Gegenteil ist der Fall. Bei einem entspannten Tauchgang verbrennt ein Mensch ungefähr 500-600 Kilokalorien. Dementsprechend geschafft waren wir dann auch jeden Abend. Aber für die umwerfenden Eindrücke hat es sich aber mehr als gelohnt. Die besten Highlights hat Alina euch in einem kleinen Video zusammengefasst. Viel Spaß beim Ansehen:
Wir hatten nun noch einen letzten Stopp unserer Reise vor uns. Es sollte für den krönenden Abschluss für 4 Tage in die moderne Stadt Singapur gehen. Ihr dürft also weiterhin gespannt sein 😉
Liebste Grüße an Familie, Freunde und Freundesfreunde!
Euer Tim und Eure Alina
Hinterlasse einen Kommentar